Monday sunshine turns to Wednesday rainfall
Our mild to warm pattern continues for one more day. Mostly sunny skies return Monday. Highs should range from the low 60s to the mid 70s. The slight chance of showers has been added to the Tuesday forecast. Our next storm arrives Wednesday morning. Heavy rain, along with stronger winds, would complicate the morning commute.
Our mild to warm pattern continues for one more day. Mostly sunny skies return Monday. Highs should range from the low 60s to the mid 70s. The slight chance of showers has been added to the Tuesday forecast. Our next storm arrives Wednesday morning. Heavy rain, along with stronger winds, would complicate the morning commute.
Hurricane Melissa: Rising death toll, desperate pleas for aid
It’s been nearly a week since Hurricane Melissa made its first catastrophic landfall in Jamaica, and the death toll is continuing to rise.
It’s been nearly a week since Hurricane Melissa made its first catastrophic landfall in Jamaica, and the death toll is continuing to rise.
Enjoy the sunshine, rain is coming
Low clouds and patchy dense fog are joining us once again during the morning hours. Mostly sunny skies will take center stage by afternoon with temperatures in the upper 60s at the coast to upper 70s inland. Hazardous conditions continue along the coast with an increased risk of rip currents and sneaker waves through early Tuesday morning. Wet weather returns mid-week.
Low clouds and patchy dense fog are joining us once again during the morning hours. Mostly sunny skies will take center stage by afternoon with temperatures in the upper 60s at the coast to upper 70s inland. Hazardous conditions continue along the coast with an increased risk of rip currents and sneaker waves through early Tuesday morning. Wet weather returns mid-week.
Calm weekend, wet change next week
Enjoyable weather for the first weekend of November. Morning clouds and thick fog will erode away to sunny, unseasonably mild to warm temps. this afternoon. Highs will range from low 60s at the coast to low 80s inland. Rain returns next week
Enjoyable weather for the first weekend of November. Morning clouds and thick fog will erode away to sunny, unseasonably mild to warm temps. this afternoon. Highs will range from low 60s at the coast to low 80s inland. Rain returns next week
Halloween comes with a sweet treat for trick or treaters
Morning clouds will break away to mostly sunny warmer weather for the afternoon. Cool and dry for Halloween festivities tonight. We remain dry and mild to warm through the weekend before cooler, wet weather returns next week.
Morning clouds will break away to mostly sunny warmer weather for the afternoon. Cool and dry for Halloween festivities tonight. We remain dry and mild to warm through the weekend before cooler, wet weather returns next week.
Cloudy, hazy
Today will be cloudy and hazy.
Today will be cloudy and hazy.
Hurricane Melissa death toll climbs after massive storm rips through Caribbean
Officials have reported deaths in multiple areas as Hurricane Melissa slammed parts of the Caribbean this week.
Officials have reported deaths in multiple areas as Hurricane Melissa slammed parts of the Caribbean this week.
Nice Halloween forecast
A nice Halloween forecast! Patchy clouds should resurface Friday morning. Hazy sunshine is expected later in the day. Highs should range from the mid 60s to the upper 70s. The weekend remains dry and mild. Rain chances will be increasing next week. Have a great Halloween! -Mark
A nice Halloween forecast! Patchy clouds should resurface Friday morning. Hazy sunshine is expected later in the day. Highs should range from the mid 60s to the upper 70s. The weekend remains dry and mild. Rain chances will be increasing next week. Have a great Halloween! -Mark
Watch Live: Hurricane Melissa heads for Bermuda after causing devastation in Caribbean
Hurricane Melissa continues its devastating path across the Atlantic with a dangerous storm surge forecast for Bermuda on Thursday.
Hurricane Melissa continues its devastating path across the Atlantic with a dangerous storm surge forecast for Bermuda on Thursday.
Much cooler
Much cooler today; temps drops to the 70s.
Much cooler today; temps drops to the 70s.
Cooler Thursday forecast
Wednesday was the warmest day of the week! Low clouds should resurface near the coast and bay Thursday morning. Partly sunny skies are expected later in the day. Highs should range from the low 60s to the mid 70s. Temperatures should rebound in the Halloween forecast.
Wednesday was the warmest day of the week! Low clouds should resurface near the coast and bay Thursday morning. Partly sunny skies are expected later in the day. Highs should range from the low 60s to the mid 70s. Temperatures should rebound in the Halloween forecast.
Watch Live: Hurricane Melissa death toll rises as storm heads for Bahamas
Hurricane Melissa made landfall Wednesday morning in Cuba as a powerful Category 3 hurricane with winds of 120 mph.
Hurricane Melissa made landfall Wednesday morning in Cuba as a powerful Category 3 hurricane with winds of 120 mph.
Dry, warm
Temps will be in the70s and 80s. Dry and warm.
Temps will be in the70s and 80s. Dry and warm.
Bay Area Jamaicans watch, worry as Hurricane Melissa slams into island
Bay Area residents anxiously watched their phones Tuesday afternoon as Category 5 Hurricane Melissa made landfall in Jamaica, wiping out power and communications.
Bay Area residents anxiously watched their phones Tuesday afternoon as Category 5 Hurricane Melissa made landfall in Jamaica, wiping out power and communications.
Warm forecast
More sunshine in your Wednesday forecast! The warm weather pattern continues Highs should range from the low 70s to the low 80s. A weak system cools off the Bay Area Thursday. Temperatures should rebound nicely by Halloween!
More sunshine in your Wednesday forecast! The warm weather pattern continues Highs should range from the low 70s to the low 80s. A weak system cools off the Bay Area Thursday. Temperatures should rebound nicely by Halloween!
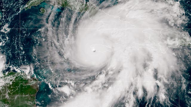
Watch Live: Hurricane Melissa slams into Jamaica with 185-mph winds
Hurricane Melissa is making landfall in Jamaica as a catastrophic Category 5 storm, the strongest to hit the island since recordkeeping began 174 years ago.
Hurricane Melissa is making landfall in Jamaica as a catastrophic Category 5 storm, the strongest to hit the island since recordkeeping began 174 years ago.
Hurricane Melissa one of strongest Atlantic hurricanes on record: See list
Hurricane Melissa has become one of the strongest hurricanes ever recorded in the Atlantic.
Hurricane Melissa has become one of the strongest hurricanes ever recorded in the Atlantic.
Hot forecast, heat advisories across country
KTVU's Roberta Gonzales walks us through the climbing temperatures across the country, including in the Bay Area.
KTVU's Roberta Gonzales walks us through the climbing temperatures across the country, including in the Bay Area.
Mostly sunny, triple digit temps inland
The San Francisco Bay Area will see mostly sunny skies Saturday. A heat advisory is in place through Saturday night as inland temperatures will be above 100 degrees.
The San Francisco Bay Area will see mostly sunny skies Saturday. A heat advisory is in place through Saturday night as inland temperatures will be above 100 degrees.
Slightly warmer temperatures before Wednesday cooldown: Bay Area forecast
KTVU's Roberta Gonzales shares the noon Bay Area forecast.
KTVU's Roberta Gonzales shares the noon Bay Area forecast.



















