What is an atmospheric river? Why the Bay Area is under a flood watch
Another atmospheric river is forecast to drench the Bay Area beginning Tuesday evening and lasting through Christmas, bringing heavy rain and triggering a flood watch. As the storm intensifies, plumes of moisture from a Pacific cyclone are pushing toward the region, raising the threat of damaging winds.
Timeline: Treacherous weather targeting San Francisco Bay Area
Santa is going to have a heck of a time delivering his toys this Christmas.
Bay Area storm to intensify into powerful bomb cyclone
The Bay Area saw heavy rain over the weekend, with showers lingering into early this week. However, a bomb cyclone developing in the Pacific now brings the threat of damaging winds to the region.
North Bay prepares for a Christmas week storm swarm
North Bay first responders are no strangers to atmospheric rivers, and the experience has left them well-equipped to handle the swarm of storms heading to the Bay Area for the holiday week.
Severe weather across the West Coast | West Coast Wrap
Storms across the West Coast and their impact.
First snow of La Niña winter blasts millions in mid-Atlantic, unleashing hazardous travel conditions
More than 16 million people are under Winter Weather Advisories in the mid-Atlantic, waking up to their first snow of the season in parts of Virginia and Maryland, which is creating slick travel conditions and delaying school openings across the region.
High tides, coastal flooding, dangerous surf across Bay Area
High tides, coastal flooding and dangerous surf conditions are expected across the Bay Area beginning Tuesday, prompting a coastal flood advisory that will remain in effect through Sunday, forecasters said.
Arctic blast ushers in freezing, potentially record cold for 235 million Americans to kick off La Niña winter
Monday is set to be the coldest day of the arctic air outbreak, where temperatures will be subzero across Montana, the Dakotas, Wyoming, Minnesota and Wisconsin.
Intense lake-effect snow unleashes treacherous Thanksgiving travel conditions as winter storms turn deadly
Lake-effect snow warnings are in effect across Wisconsin, Michigan, Ohio, Pennsylvania and western New York on Thanksgiving Day.
The storm that took down the Edmund Fitzgerald
The Edmund Fitzgerald still sits at the bottom of Lake Superior, submerged in 535 feet of water, about 17 miles north-northwest of Whitefish Point, Michigan.
North Bay preps for atmospheric river
Wednesday was the calm before the storm in parts of the Bay Area, including at the Golden Gate Bridge, where by night, winds whipped in the air as the atmospheric river approached.
Timeline: Atmospheric river approaches Bay Area
An atmospheric river is headed for the Bay Area, bringing heavy rainfall and strong winds beginning late Wednesday and lasting through early Friday. The storm system is expected to deepen as it slides down the West Coast.
Alameda crews rescue 68-year-old on sinking sailboat
Alameda police officers and firefighters rescued a 68-year-old from a sinking sailboat Wednesday morning near the Encinal Boat Ramp.
San Francisco weather: Roaring wind and rain knocks out power
Gusts of wind ripped through the Bay Area on Wednesday, as rain also began pelting down early in the morning before the sun came out.
Heavy rain, strong winds headed for the Bay Area Wednesday morning
Tuesday's weather can be described as the proverbial calm before the storm. That's because pressure is building to make way for the rain and strong winds that are on the way.
Hurricane Melissa death toll climbs after massive storm rips through Caribbean
Officials have reported deaths in multiple areas as Hurricane Melissa slammed parts of the Caribbean this week.
Watch Live: Hurricane Melissa heads for Bermuda after causing devastation in Caribbean
Hurricane Melissa continues its devastating path across the Atlantic with a dangerous storm surge forecast for Bermuda on Thursday.
Bay Area Jamaicans watch, worry as Hurricane Melissa slams into island
Bay Area residents anxiously watched their phones Tuesday afternoon as Category 5 Hurricane Melissa made landfall in Jamaica, wiping out power and communications.
Watch Live: Hurricane Melissa slams into Jamaica with 185-mph winds
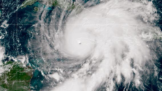
Hurricane Melissa is making landfall in Jamaica as a catastrophic Category 5 storm, the strongest to hit the island since recordkeeping began 174 years ago.
Hurricane Melissa slams toward Jamaica as powerful Category 5 storm
Hurricane Melissa intensified to Category 5 strength Monday as it neared Jamaica. Forecasters said it would be the strongest hurricane to hit the island since record keeping began in 1851.


















