Video: Hail shatters Oklahoma driver’s windshield
Jake Nea was chasing storms in Roosevelt Oklahoma when his windshield was shattered by hail.
Jake Nea was chasing storms in Roosevelt Oklahoma when his windshield was shattered by hail.
High fire danger means more Northern California power shutoffs
High fire danger led to another round of public safety power shutoffs in parts of the Bay Area.
High fire danger led to another round of public safety power shutoffs in parts of the Bay Area.
Tornadoes hit Oklahoma as severe weather sweeps across Central US
Multiple reported tornadoes caused damage in Oklahoma late Sunday, as severe weather also swept through parts of Arkansas, Kansas, Missouri and Texas.
Multiple reported tornadoes caused damage in Oklahoma late Sunday, as severe weather also swept through parts of Arkansas, Kansas, Missouri and Texas.
Southwest Airlines, FAA differ over cause for cancellations
The airline canceled more than 1,000 flights in total, or 29% of its schedule, as of 7 p.m. ET Sunday, according to flight tracker FlightAware.
The airline canceled more than 1,000 flights in total, or 29% of its schedule, as of 7 p.m. ET Sunday, according to flight tracker FlightAware.
Fire weather watch issued for parts of the Bay Area
Gusty north winds are forecast to sweep over the North Bay mountains, East Bay Hill, and East Bay Valley beginning Sunday night into Tuesday evening.
Gusty north winds are forecast to sweep over the North Bay mountains, East Bay Hill, and East Bay Valley beginning Sunday night into Tuesday evening.
Heavy rain in North Carolina floods mountain areas, fills massive sinkhole
Heavy rainfall in North Carolina flooded parts of the state this week, including a massive sinkhole in the city of Morganton.
Heavy rainfall in North Carolina flooded parts of the state this week, including a massive sinkhole in the city of Morganton.
Alabama flash flooding kills 4, swamps roadways, officials say
The deaths of four people were blamed on Alabama flooding, officials said. Flash flood warnings and watches were issued Thursday for much of the state.
The deaths of four people were blamed on Alabama flooding, officials said. Flash flood warnings and watches were issued Thursday for much of the state.
VIDEOS: Lighting sightings across Los Angeles
Los Angeles County beaches are shut down after the area was hit by isolated thunderstorms.
Los Angeles County beaches are shut down after the area was hit by isolated thunderstorms.
Extreme drought uncovers 'ghost town' hidden under Utah reservoir
Drought conditions in Utah appear to have unearthed a hidden “ghost town” that is normally under the Rockport Reservoir.
Drought conditions in Utah appear to have unearthed a hidden “ghost town” that is normally under the Rockport Reservoir.
Ocean drone captures video from inside hurricane for 1st time
The seafaring drone is braving Hurricane Sam in the open ocean, where it can gather and collect real-time observations.
The seafaring drone is braving Hurricane Sam in the open ocean, where it can gather and collect real-time observations.
Hurricane Sam: Category 4 storm likely to bring rough surf to East Coast
Sam, still a Category 4 hurricane, is set to avoid any direct impact to the U.S. but is expected to bring big waves to the East Coast by the weekend.
Sam, still a Category 4 hurricane, is set to avoid any direct impact to the U.S. but is expected to bring big waves to the East Coast by the weekend.
Hurricane Sam sustains Category 4 storm status over Atlantic
Sam maintained its powerful Category 4 hurricane status into Tuesday afternoon with maximum sustained winds of 130 mph, according to the National Hurricane Center.
Sam maintained its powerful Category 4 hurricane status into Tuesday afternoon with maximum sustained winds of 130 mph, according to the National Hurricane Center.
Sam downgraded to Category 3 hurricane in Atlantic
Hurricane Sam remained a powerful Category 3 storm in the Atlantic Ocean on Monday, but was centered well offshore from land.
Hurricane Sam remained a powerful Category 3 storm in the Atlantic Ocean on Monday, but was centered well offshore from land.
Hurricane Sam, a Category 4 storm, could fluctuate in strength this week
Hurricane Sam is a Category 4 storm, but forecasters say the system could fluctuate in strength over the next day or so.
Hurricane Sam is a Category 4 storm, but forecasters say the system could fluctuate in strength over the next day or so.
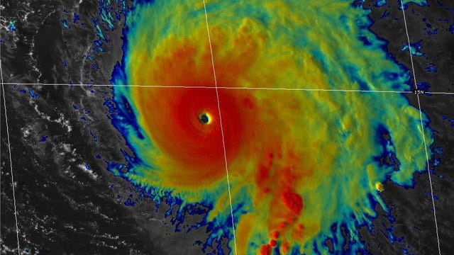
Hurricane Sam now a Category 4 storm; Teresa dwindling
Far from land, Hurricane Sam strengthened into a Category 4 hurricane in the Atlantic Ocean on Saturday.
Far from land, Hurricane Sam strengthened into a Category 4 hurricane in the Atlantic Ocean on Saturday.
Ida flooding in Northeast plagues residents with insurance woes
As residents across the Northeast U.S. recover from the catastrophic flooding from recent storms, they are being hit with another unexpected blow: Without flood coverage, their homeowners and renters insurance won't cover their losses.
As residents across the Northeast U.S. recover from the catastrophic flooding from recent storms, they are being hit with another unexpected blow: Without flood coverage, their homeowners and renters insurance won't cover their losses.
White House unveils plan to combat ‘silent killer’ extreme heat
Under a plan announced Monday, the U.S. Departments of Labor and of Health and Human Services as well as other federal agencies are launching actions intended to reduce heat-related illness and protect public health.
Under a plan announced Monday, the U.S. Departments of Labor and of Health and Human Services as well as other federal agencies are launching actions intended to reduce heat-related illness and protect public health.
Red Flag Warning in effect Sunday night through Tuesday
The danger for fire will increase beginning Sunday night in the East Bay hills and north into Solano County, according to the National Weather Service.
The danger for fire will increase beginning Sunday night in the East Bay hills and north into Solano County, according to the National Weather Service.
Tropical Depression Nicholas takes aim at hurricane-battered Louisiana
Tropical Depression Nicholas threatened the U.S. Gulf Coast with heavy rain and flooding as it moved over Louisiana on Wednesday.
Tropical Depression Nicholas threatened the U.S. Gulf Coast with heavy rain and flooding as it moved over Louisiana on Wednesday.
Nicholas weakens to tropical depression, dumps rain, brings flood threat to Gulf Coast
Tropical Storm Nicholas has weakened to a tropical depression as it slowed to a crawl over southeastern Texas and southwestern Louisiana as its heavy rains continued to drench the area, maintaining a flood threat.
Tropical Storm Nicholas has weakened to a tropical depression as it slowed to a crawl over southeastern Texas and southwestern Louisiana as its heavy rains continued to drench the area, maintaining a flood threat.



















